ΙΕΡΑΠΕΤΡΑ

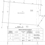
-Ιεράπετρα, κοντά στο κέντρο σε εξαιρετικό σημείο πωλείται οικόπεδο εντός σχεδίου άρτιο και οικοδομήσιμο με συνολικό εμβαδόν 352 Τ.Μ.
Ο συντελεστή δόμησης ανέρχεται στο 0,8 ο συντελεστής κάλυψης στο 60 %
Εφάπτεται πάνω σε πεζόδρομο με μεγάλη πρόσοψη
Τιμή πώλησης 130000€

Δύναται να κατατμηθεί στην μέση σε δύο κάθετες και να πωληθούν χωριστά στην άτιμη των 65.000€ έκαστο.

Σημείο στον Χάρτη
Εμφάνιση χάρτη στο Google Maps
Η θέση δεν αντιστοιχεί στο ακριβές σημείο του ακινήτου
Επικοινωνήστε με τον αγγελιοδότη
Κωδ. Αγγελίας ΑΚ466113
Τύπος Πώληση
Κατηγορία Οικόπεδα
Περιοχή Λασίθι, Ιεράπετρα, Ιερά Μονή Φανερωμένης
Εμβαδόν 352τ.μ.
Τιμή € 130.000
Τιμή / τ.μ. € 369,32
ΠΕΡΙΣΣΟΤΕΡΑ
Εμβαδό (τ.μ.):
352
Ανανεώθηκε:
Παρασκευή, 24 Απρ 2026
Επισκέψεις:
7